PCB电路板变形的原因在哪里,如何预防?
PCB电路板经过回流焊时大多容易发生板弯板翘,严重的话甚至会造成元件空焊、立碑等情况,应如何克服呢?
1、PCB电路板变形的危害
在自动化表面贴装线上,电路板若不平整,会引起定位不准,元器件无法插装或贴装到板子的孔和表面贴装焊盘上,甚至会撞坏自动插装机。装上元器件的电路板焊接后发生弯曲,元件脚很难剪平整齐。板子也无法装到机箱或机内的插座上,所以,装配厂碰到板翘同样是十分烦恼。目前的表面贴装技术正在朝着高精度、高速度、智能化方向发展,这就对做为各种元器件家园的PCB板提出了更高的平整度要求。


在IPC标准中特别指出带有表面贴装器件的PCB板允许的最大变形量为0.75%,没有表面贴装的PCB电路板允许的最大变形量为1.5%。实际上,为满足高精度和高速度贴装的需求,部分电子装联厂家对变形量的要求更加严格,如我公司有多个客户要求允许的最大变形量为0.5%,甚至有个别客户要求0.3%。
PCB板由铜箔、树脂、玻璃布等材料组成,各材料物理和化学性能均不相同,压合在一起后必然会产生热应力残留,导致变形。同时在PCB的加工过程中,会经过高温、机械切削、湿处理等各种流程,也会对板件变形产生重要影响,总之可以导致PCB板变形的原因复杂多样,如何减少或消除由于材料特性不同或者加工引起的变形,成为PCB制造商面临的最复杂问题之一。
2、PCB板变形产生原因分析
PCB板的变形需要从材料、结构、图形分布、加工制程等几个方面进行研究,本文将对可能产生变形的各种原因和改善方法进行分析和阐述。
电路板上的铺铜面面积不均匀,会恶化板弯与板翘。
一般电路板上都会设计有大面积的铜箔来当作接地之用,有时候Vcc层也会有设计有大面积的铜箔,当这些大面积的铜箔不能均匀地分佈在同一片电路板上的时候,就会造成吸热与散热速度不均匀的问题,电路板当然也会热胀冷缩,如果涨缩不能同时就会造成不同的应力而变形,这时候板子的温度如果已经达到了Tg值的上限,板子就会开始软化,造成永久的变形。
电路板上各层的连结点(vias,过孔)会限制板子涨缩 。
现今的电路板大多为多层板,而且层与层之间会有向铆钉一样的连接点(vias),连结点又分为通孔、盲孔与埋孔,有连结点的地方会限制板子涨冷缩的效果,也会间接造成板弯与板翘。

PCB板变形的原因:
(1)电路板本身的重量会造成板子凹陷变形
一般回焊炉都会使用链条来带动电路板于回焊炉中的前进,也就是以板子的两边当支点撑起整片板子,如果板子上面有过重的零件,或是板子的尺寸过大,就会因为本身的种量而呈现出中间凹陷的现象,造成板弯。
(2)V-Cut的深浅及连接条会影响拼板变形量
基本上V-Cut就是破坏板子结构的元凶,因为V-Cut就是在原来一大张的板材上切出沟槽来,所以V-Cut的地方就容易发生变形。
2.1 压合材料、结构、图形对板件变形的响分析
PCB板由芯板和半固化片以及外层铜箔压合而成,其中芯板与铜箔在压合时受热变形,变形量取决于两种材料的热膨胀系数(CTE);
铜箔的热膨胀系数(CTE)为17X10-6左右;
而普通FR-4基材在Tg点下Z向CTE为(50~70)X10-6;
TG点以上为(250~350)X10-6,X向CTE由于玻璃布存在,一般与铜箔类似。
关于TG点的注释:
高Tg印制板当温度升高到某一区域时,基板将由"玻璃态”转变为“橡胶态”,此时的温度 称为该板的玻璃化温度(Tg)。也就是说,Tg是基材保持刚性的最高温度(℃)。也就是说普通PCB基板材料在高温下,不但产生软化、变形、熔融等现象,同时还表现在机械、电气特性的急剧下降。
一般Tg的板材为130度以上,高Tg一般大于170度,中等Tg约大于150度。
通常Tg≥170℃的PCB印制板,称作高Tg印制板。
基板的Tg提高了,印制板的耐热性、耐潮湿性、耐化学性、耐稳定性等特征都会提高和改善。TG值越高,板材的耐温度性能越好 ,尤其在无铅制程中,高Tg应用比较多。
高Tg指的是高耐热性。随着电子工业的飞跃发展,特别是以计算机为代表的电子产品,向着高功能化、高多层化发展,需要PCB基板材料的更高的耐热性作为重要的保证。以SMT、CMT为代表的高密度安装技术的出现和发展,使PCB在小孔径、精细线路化、薄型化方面,越来越离不开基板高耐热性的支持。
所以一般的FR-4与高Tg的FR-4的区别:是在热态下,特别是在吸湿后受热下,其材料的机械强度、尺寸稳定性、粘接性、吸水性、热分解性、热膨胀性等各种情况存在差异,高Tg产品明显要好于普通的PCB基板材料。
其中做好内层图形的芯板的膨胀由于图形分布与芯板厚度或者材料特性不同而不同,当图形分布与芯板厚度或者材料特性不同而不同,当图形分布比较均匀,材料类型一致,不会产生变形。当PCB板层压结构存在不对称或者图形分布不均匀时会导致不同芯板的CTE差异较大,从而在压合过程中产生变形。其变形机理可通过以下原理解释。
假设有两种CTE相差较大的芯板通过半固化片压合在一起,其中A芯板CTE为1.5x10-5/℃,芯板长度均为1000mm。在压合过程作为粘结片的半固化片,则经过软化、流动并填充图形、固化三个阶段将两张芯板粘合在一起。
图1为普通FR-4树脂在不同升温速率下的动粘底曲线,一般情况下,材料从90℃左右开始流动,并在达到TG点以上开始交联固化,在固化之前半固化片为自由状态,此时芯板和铜箔处在受热后自由膨胀状态,其变形量可以通过各自的CTE和温度变化值得到。
模拟压合条件,温度从30℃升至180℃,
此时两种芯板变形量分别为
△LA=(180℃~30℃)x1.5x10-5m/℃X1000mm=2.25mm
△LB=(180℃~30℃)X2.5X10-5M/℃X1000mm=3.75mm
此时由于半固化尚在自由状态,两种芯板一长一短,互不干涉,尚未发生变形。
见图2,压合时会在高温下保持一段时间,直到半固化完全固化,此时树脂变成固化状态,不能随意流动,两种芯板结合在一起.当温度下降时,如无层间树脂束缚,芯板会回复至初始长度,并不会产生变形,但实际上两张芯板在高温时已经被固化的树脂粘合,在降温过程中不能随意收缩,其中A芯板应该收缩3.75mm,实际上当收缩大于2.25mm时会受到A芯板的阻碍,为达成两芯板间的受力平衡,B芯板不能收缩到3.75mm,而A芯板收缩会大于2.25mm,从而使整板向B芯板方向变曲,如图2所示。

不同CTE芯板压合过程中变形示意
根据上述分析可知,PCB板的层压结构、材料类型已经图形分布是否均匀,直接影响了不同芯板以及铜箔之间的CTE差异,在压合过程中的涨缩差异会通过半固化片的固片过程而被保留并最终形成PCB板的变形。
2.2 PCB板加工过程中引起的变形
PCB板加工过程的变形原因非常复杂可分为热应力和机械应力两种应力导致。其中热应力主要产生于压合过程中,机械应力主要产生板件堆放、搬运、烘烤过程中。下面按流程顺序做简单讨论。
覆铜板来料:覆铜板均为双面板,结构对称,无图形,铜箔与玻璃布CTE相差无几,所以在压合过程中几乎不会产生因CTE不同引起的变形。但是,覆铜板压机尺寸大,热盘不同区域存在温差,会导致压合过程中不同区域树脂固化速度和程度有细微差异,同时不同升温速率下的动黏度也有较大差异,所以也会产生由于固化过程差异带来的局部应力。一般这种应力会在压合后维持平衡,但会在日后的加工中逐渐释放产生变形。
压合:PCB压合工序是产生热应力的主要流程,其中由于材料或结构不同产生的变形见上一节的分析。与覆铜板压合类似,也会产生固化过程差异带来的局部应力,PCB板由于厚度更厚、图形分布多样、半固化片更多等原因,其热应力也会比覆铜板更多更难消除。而PCB板中存在的应力,在后继钻孔、外形或者烧烤等流程中释放,导致板件产生变形。

阻焊、字符等烘烤流程:由于阻焊油墨固化时不能互相堆叠,所以PCB板都会竖放在架子里烘板固化,阻焊温度150℃左右,刚好超过中低Tg材料的Tg点,Tg点以上树脂为高弹态,板件容易在自重或者烘箱强风作用下变形。
热风焊料整平:普通板热风焊料整平时锡炉温度为225℃~265℃,时间为3S-6S。热风温度为280℃~300℃.焊料整平时板从室温进锡炉,出炉后两分钟内又进行室温的后处理水洗。整个热风焊料整平过程为骤热骤冷过程。由于电路板材料不同,结构又不均匀,在冷热过程中必然会出现热应力,导致微观应变和整体变形翘区。
存放:PCB板在半成品阶段的存放一般都坚插在架子中,架子松紧调整的不合适,或者存放过程中堆叠放板等都会使板件产生机械变形。尤其对于2.0mm以下的薄板影响更为严重。
除以上因素以外,影响PCB板变形的因素还有很多。
3、PCB板翘曲变形的预防
电路板翘曲对印制电路板的制作影响是非常大的,翘曲也是电路板制作过程中的重要问题之一,装上元器件的板子焊接后发生弯曲,组件脚很难整齐。板子也无法装到机箱或机内的插座上,所以,电路板翘曲会影响到整个后序工艺的正常运作。现阶段印制电路板已进入到表面安装和芯片安装的时代,工艺对电路板翘曲的要求可谓是越来越高。所以我们要找到半路帮翘曲的原因。

1.工程设计:印制板设计时应注意事项:A.层间半固化片的排列应当对称,例如六层板,1~2和5~6层间的厚度和半固化片的张数应当一致,否则层压后容易翘曲。 B.多层板芯板和半固化片应使用同一供应商的产品。C. 外层A面和B面的线路图形面积应尽量接近。若A面为大铜面,而B面仅走几根线,这种印制板在蚀刻后就很容易翘曲。如果两面的线路面积相差太大,可在稀的一面加一些独立的网格,以作平衡。
2.下料前烘板:覆铜板下料前烘板(150摄氏度,时间8±2小时)目的是去除板内的水分,同时使板材内的树脂完全固化,进一步消除板材中剩余的应力,这对防止板翘曲是有帮助的。目前,许多双面、多层板仍坚持下料前或后烘板这一步骤。但也有部分板材厂例外,目前各PCB 厂烘板的时间规定也不一致,从4-10小时都有,建议根据生产的印制板的档次和客户对翘曲度的要求来决定。剪成拼板后烘还是整块大料烘后下料,二种方法都可行,建议剪料后烘板。内层板亦应烘板。
3.半固化片的经纬向:半固化片层压后经向和纬向收缩率不一样,下料和迭层时必须分清经向和纬向。否则,层压后很容易造成成品板翘曲,即使加压力烘板亦很难纠正。多层板翘曲的原因,很多就是层压时半固化片的经纬向没分清,乱迭放而造成的。如何区分经纬向?成卷的半固化片卷起的方向是经向,而宽度方向是纬向;对铜箔板来说长边时纬向,短边是经向,如不能确定可向生产商或供应商查询。
4. 层压后除应力 :多层板在完成热压冷压后取出,剪或铣掉毛边,然后平放在烘箱内150摄氏度烘4小时,以使板内的应力逐渐释放并使树脂完全固化,这一步骤不可省略。
5.薄板电镀时需要拉直:0.4~0.6mm超薄多层板作板面电镀和图形电镀时应制作特殊的夹辊,在自动电镀线上的飞巴上夹上薄板后,用一条圆棍把整条飞巴上的夹辊串起来,从而拉直辊上所有的板子,这样电镀后的板子就不会变形。若无此措施,经电镀二三十微米的铜层后,薄板会弯曲,而且难以补救。
6.热风整平后板子的冷却:印制板热风整平时经焊锡槽(约250摄氏度)的高温冲击,取出后应放到平整的大理石或钢板上自然冷却,在送至后处理机作清洗。这样对板子防翘曲很有好处。有的工厂为增强铅锡表面的亮度,板子热风整平后马上投入冷水中,几秒钟后取出在进行后处理,这种一热一冷的冲击,对某些型号的板子很可能产生翘曲,分层或起泡。另外设备上可加装气浮床来进行冷却。
7.翘曲板子的处理:管理有序的工厂,印制板在最终检验时会作100%的平整度检查。凡不合格的板子都将挑出来,放到烘箱内,在150摄氏度及重压下烘3~6小时,并在重压下自然冷却。然后卸压把板子取出,在作平整度检查,这样可挽救部分板子,有的板子需作二到三次的烘压才能整平。上海华堡代理的气压式板翘反直机经上海贝尔的使用在补救线路板翘曲方面有十分好的效果。若以上涉及的防翘曲的工艺措施不落实,部分板子烘压也没用,只能报废。
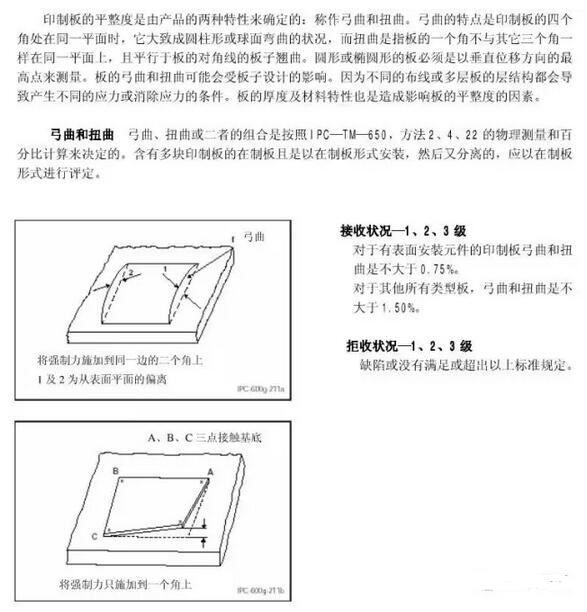
4、PCB板翘曲变标准
PCB板翘标准请参考IPC-A-600G 第2.11平整度标准: 对于表面安装元件(如SMT贴装)的印制板其扭曲和弓曲标准为不大于0.75%,其它类型的板为不大于1.5%。 测试方法参考IPC-TM-650 2.4.22。


| 我要评论: | |
| 内 容: |
(内容最多500个汉字,1000个字符) |
| 验证码: | 看不清?! |
最新产品
同类文章排行
- 电池电路板未来趋势:探索电池技术的无限可能
- 电路板厂独家分享:电路板PCB相关设计指南(二)
- 5G天线PCB的工艺挑战主要在哪些方面?
- 汽车电路板维修入门指南分享
- 5G线路板:PCB厂如何应对高精度需求
- PCB厂关于线路板制作方法的浅析
- PCB厂:什么是PCB及其特点功能解析
- PCB 特性大揭秘:常用术语深度解读
- 关于汽车无线充电 PCB 的核心技术与设计要点剖析
- 什么是汽车电路板?它与普通电路板有什么不同?
最新资讯文章
您的浏览历史








共有-条评论【我要评论】